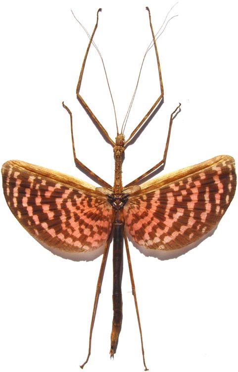
dtamyris

Палочник - Розовый
(Diesbachia tamyris) Малайзия,
рамка (25х22), цена - 1420 руб.